Listed by Better Homes and Gardens Real Estate/The Masiello Group
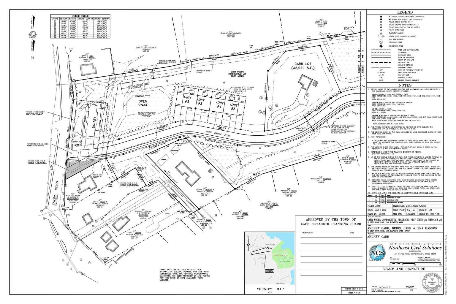
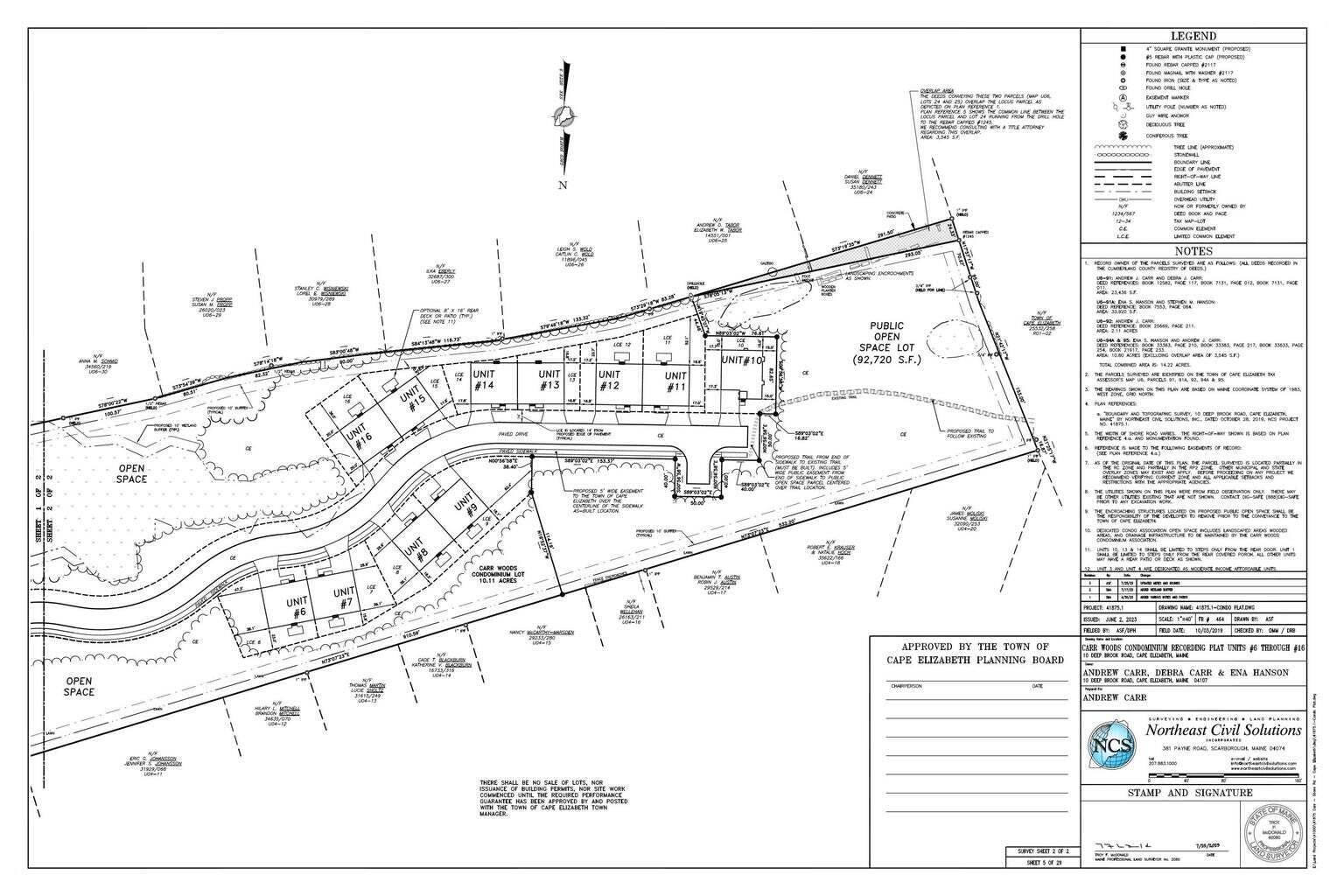
This 14.25-acre parcel on Shore Road in Cape Elizabeth is indeed a rare and remarkable opportunity that is now on the market for the first time in over 120 years. Located directly across from the beach, Fort Williams Park, and the iconic Portland Head Light, this property offers prime access to scenic beauty and proximity to Portland's amenities - including just a 20-minute drive to the Portland Jetport. Engineering for a 16-unit luxury condominium development has been completed, including studies covering stormwater, sewer, utilities, density, wetlands, traffic, soil, open space, and permitting from both the Army Corps of Engineers and the Maine DEP. At the final Planning Board review of this project, 35 of the 36 Findings of Fact were approved (see attached document). Next steps with this incredible parcel would be to revive the current development proposal or explore alternative uses such as private estates.

Listing Tools (detailViewNewGen)

Property Details of 00000 Shore Road

Property Details

Interior Features

Utilities and Appliances

Other Details

Map Location

Listing data is derived in whole or in part from the Maine IDX & is for consumers' personal, non commercial use only. Dimensions are approximate and not guaranteed. All data should be independently verified. ©2026 Maine Real Estate Information System, Inc. All Rights Reserved. equal opportunity housing logo   Privacy Policy

Roxanne York Real Estate participates in ©2026 Maine Listings Internet Data Exchange program, allowing us to display other Maine IDX Participants' listings. This website does not display complete listings. Certain listings of other real estate brokerage firms have been excluded. Mortgage figures are estimates. Check with your bank or proposed mortgage company for actual interest rates. This product uses the FRED® API but is not endorsed or certified by the Federal Reserve Bank of St. Louis.

Hi there! How can we help you?

Contact us using the form below or give us a call.

Send Us A Message:

I agree to receive marketing and customer service calls and text messages from Roxanne York Real Estate. To opt out, you can reply 'stop' at any time or click the unsubscribe link in the emails. Consent is not a condition of purchase. Msg/data rates may apply. Msg frequency varies. Privacy Policy.

Do not fill in this field:

This site is protected by reCAPTCHA and the Google Privacy Policy and Terms of Service apply.

Hi there! How can we help you?

Contact us using the form below or give us a call.

Send Us A Message:

Do not fill in this field:

This site is protected by reCAPTCHA and the Google Privacy Policy and Terms of Service apply.

Hi there! How can we help you?

Contact us using the form below or give us a call.

Send Us A Message:

Do not fill in this field:

This site is protected by reCAPTCHA and the Google Privacy Policy and Terms of Service apply.

Do not fill in this field:

This site is protected by reCAPTCHA and the Google Privacy Policy and Terms of Service apply.

Do not fill in this field:

This site is protected by reCAPTCHA and the Google Privacy Policy and Terms of Service apply.

Do not fill in this field:

This site is protected by reCAPTCHA and the Google Privacy Policy and Terms of Service apply.

$

Do not fill in this field:

This site is protected by reCAPTCHA and the Google Privacy Policy and Terms of Service apply.